An underwater volcano, located approximately 300 miles from the Oregon coast, seems to be reawakening.
Researchers monitoring this extensive submarine volcano over the years report that it may erupt due to recent signs of activity, such as nearby earthquake increases and inflation of the volcano’s structure.
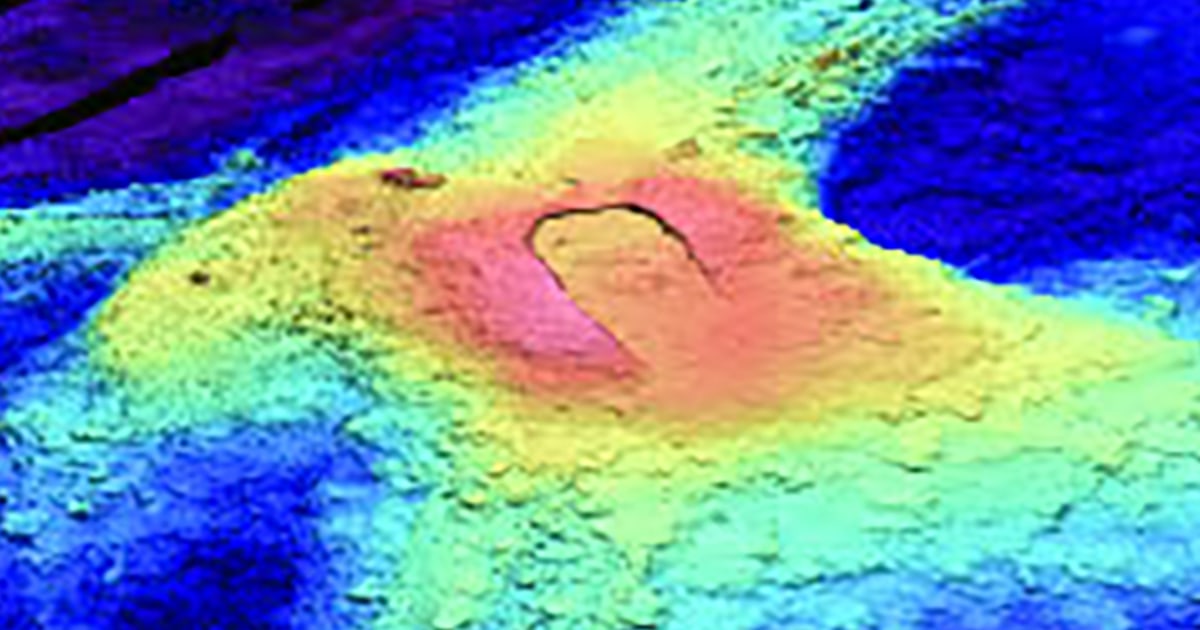
Bill Chadwick, a volcanologist and research professor at Oregon State University, forecasts that the volcano, known as Axial Seamount, could erupt at any moment before the year’s end.
Oregon State University
Chadwick and his team at the University of Washington and the University of North Carolina Wilmington leverage networks of underwater sensors to monitor volcanoes.
Recently, these instruments detected signs of unrest within the volcano. For instance, in late March and early April, researchers recorded over 1,000 earthquakes daily. The ongoing swelling of the volcano indicates it is filled with molten rock, according to Chadwick.
“This volcano is akin to Hawaiian volcanoes that erupt highly fluid lava,” he stated. “They tend to expand like balloons during eruptions. At Axial, the seafloor is actually rising, which is a significant indicator.”
However, unlike some Hawaiian volcanoes, there is minimal risk to human life if the Axial Seamount erupts.
Being hundreds of miles offshore and submerged about a mile deep in the ocean ensures that even powerful eruptions go unnoticed on land.
“There’s no explosive activity, so it really won’t impact people,” Chadwick remarked. “If you were on a boat nearby during an eruption, you likely wouldn’t even notice it.”
That said, such an eruption can still be a remarkable event. Researchers noted that the last eruption of Axial Seamount in 2015 released massive amounts of magma.
“For perspective, it’s roughly two-thirds the height of Seattle’s Space Needle,” Chadwick explained. “That’s a substantial amount of lava.”
The Axial Seamount formed over a geophysical hot spot, where a plume of molten rock rises from the Earth’s mantle to the crust. This geological process is common; hotspot volcanoes are found across the seabed, with some forming chains of islands like those in Hawaii and Samoa. What sets Axial Seamount apart is its position along the boundary of the Pacific and Juan de Fuca plates. The separation of these plates and the pressure that builds beneath the seafloor consistently drive volcanic activity and create new oceanic crust in the region.
Susan Merule / Oregon State University
Chadwick has observed the activities of Axial Seamount for three decades, with eruptions recorded in 1998, 2011, and 2015.
As he and his colleagues anticipate a potential eruption, they are exploring whether patterns of activity at Axial Seamount offer reliable predictions for when an underwater volcano may erupt.
However, accurately predicting eruptions remains a challenging endeavor. Volcanoes can behave unpredictably, and their warning signs can vary significantly.
“They are full of surprises,” commented Scott Nooner, a geophysics professor at the University of North Carolina Wilmington. “It’s uncertain whether magma is still moving beneath the Earth’s surface.”
Scientists have achieved some success with short-term predictions—usually just hours prior to an eruption—to help local authorities decide on evacuations or other necessary precautions. Long-term predictions, however, remain elusive.
This is why, according to Nooner, Axial Seamount serves as an excellent natural laboratory for testing eruption prediction models.
“On land, predicting an eruption weeks or months in advance can lead to substantial financial and emotional costs if incorrect. Luckily, eruptions at Axial Seamount don’t endanger anyone, so it’s safer to test models and refine predictions here without the same consequences as on land,” he concluded.
Source: www.nbcnews.com












